-
完成予想図(外観)
閑静な住宅街に分譲中!市街地アクセス便利♪※外構、周辺環境はイメージです。
-
完成予想図(内観)
対面キッチンからリビング全体を見渡せるLDK。料理をしながら家族と会話を楽しめる、心地よい距離感です。自然と笑顔が集まる、家族の中心となる空間です。
-
完成予想図(内観)
キッチンの横に水まわりをまとめた、使いやすい間取り。料理・洗濯・片付けの流れがスムーズで、移動も最小限。忙しい時間帯も、自然と効率よく動ける設計です。
-
GX志向型住宅補助金110万円対象物件
【GX志向型住宅補助金110万円対象物件】 追加費用なしで110万円全額受給可。 ※詳細はお問合せください。

| 建売 | 鳥取店 |
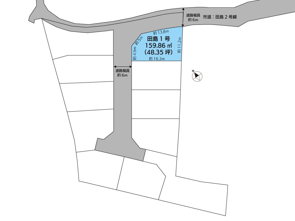
鳥取市 田島1号
建築中ですが同仕様物件のご案内が可能です!
【GX志向型住宅補助金110万円対象物件】
初期費用負担ゼロで太陽光発電設置!【外構込み】
■建物おすすめポイント
・タタミコーナーと合わせて19.8帖の広々LDK
・家じゅうキレイに整う♪適材適所に収納充実
・高気密・高断熱でエアコン負荷を最大50%削減!
■土地おすすめポイント
・コンビニまで徒歩8分!
・市街地アクセス良好!国道9号線へ車3分!
・鳥取市立富桑小学校・鳥取市立西中学校エリア
■うれしい設備・仕様
・玄関:FreePaお出迎え省エネセンサーLEDライト
・キッチン:クリナップ製、食器洗乾燥機、人工大理石ワークトップ
・浴室:ハウステック製1坪タイプ、高断熱浴槽、換気暖房乾燥機
・トイレ:リクシル製、各階完備
AREA
周辺環境
西松屋鳥取城北店まで159m (徒歩2分)
エスマート田園町店まで1012m (車3分)
マルイ薬師町店まで1065m (車3分)
ローソン鳥取西品治店まで636m (徒歩8分)
ザグザグ西品治店まで1184m (車3分)
鳥取市立西中学校まで1193m (徒歩15分)
鳥取市立富桑小学校まで1201m (徒歩16分)
認定こども園鳥取第二幼稚園まで1073m (車3分)
| 販売価格 | 2,990万円 | 月々支払 | 60,479円 |
|---|---|---|---|
| 支払い例 | 頭金0円 / ボーナス払い0円 |
山陰合同銀行 変動金利0.8% 返済期間50年 ※審査により金利は変わる可能性があります。
ABOUT
物件概要
| 所在地 | 鳥取県鳥取市田島 | 交通 |
JR山陰本線「鳥取」歩33分
JR因美線「津ノ井」歩90分
日交バス「新住宅入口」歩3分
|
|---|---|---|---|
| 販売戸数 | 1戸 | 総戸数 | 11戸 |
| 価格 | 2,990万円 | 最多価格帯 | - |
| 私道負担・道路 | 無、北6m幅(接道幅13.8m)、西6m幅(接道幅4.9m) | 諸費用 | 上水道負担金、仲介手数料 |
| 間取り | 4LDK | 建物面積 | 104.33m2(31.55坪) |
| 土地面積 | 159.86m2(48.35坪) | 建ぺい率・容積率 | 60%・200% |
| 完成時期(築年月) | 2026年6月 | 入居時期 | 2026年7月予定 |
| 土地の権利形態 | 所有権 | 構造・工法 | 木造2階建(軸組工法) |
| 用途地域 | 1種中高 | 地目 | - |
| 施工 | (株)アート建工 | 断熱性能 | 6段階/7段階中 |
| エネルギー消費性能 | ★★★★(削減率30%達成) | 目安光熱費 | - |
| その他制限事項 | 景観法による規制有、地役権設定あり | ||
| その他概要・特記事項 | 担当者:尾崎 隆司、設備:公営水道、本下水、オール電化、建築確認番号:第025A確建鳥393号、取引態様:仲介(マチリブ不動産) | ||

※Web予約時に事前アンケートの全ての項目に回答し来場いただくと8,000円分、さらに来場後にウェブアンケートに回答いただくと2,000円分、最大合計10,000円分のクオカードをプレゼントいたします。
※アート建工グループ(アート建工、トコスホーム、マチリブ、ココスム、マチリブ不動産)に初めて来場される、住宅をご検討中のご家族様に一回限りです。

※Web予約時に事前アンケートの全ての項目に回答し来場いただくと8,000円分、さらに来場後にウェブアンケートに回答いただくと2,000円分、最大合計10,000円分のクオカードをプレゼントいたします。
※アート建工グループ(アート建工、トコスホーム、マチリブ、ココスム、マチリブ不動産)に初めて来場される、住宅をご検討中のご家族様に一回限りです。
















